SPRR Yuma District - The East Line

SEGMENT 2: APEX to INDIO, MP 563.3 - 611.0

03/15/91

 

Introduction

 

  The upcoming 48 miles take the Yuma Line from the top of Beaumont Hill (the saddle of San Gorgonio Pass) at more than 2600 feet elevation, down the eastward side of the pass and finally out on to the gently sloping, sandy alluvial fan that makes up the floor of the Coachella Valley.  Immediately west of Indio, the right-of-way crosses the sea level contour and the Espee becomes the only railroad in the United States to operate below sea level (not counting a rail tunnel or two under bays or estuaries).  At Indio Station, the tracks are 20 feet below sea level and sinking steadily, making for a total elevation change over the 48-mile route of more than 2600 feet.

 

 

  Along this stretch of railroad, the climate changes much more significantly than the modest altitude change might imply.  While weather in Beaumont may be cool, cloudy or downright cold and windy, the hour's trip downhill to Indio can bring 30 degree-warmer temperatures, sandstorm winds or clear-blue skies. 

 

During winter or summer, the climatological differences that you will experience between Beaumont and Indio can be surprising.

  The primary reason for the meteorological diversity is the unusual geology presented by the narrow gap between the highest groups of peaks in Southern California, the San Gorgonio Range on the north and the San Jacinto Mountains to the south.  These peaks, raised up over the past twenty million years or so, have created a formidable barrier between the moderating influences of the Pacific Ocean and the great expanse of the Mojave and Colorado Deserts to the east. 

 

 

563.3 APEX Switch (RIV151D6)

      EB/WB Absolute Signals

      End Two Main Track CTC

      Begin Single Main Track CTC

      Signpost EB 50-40 MPH

      Speed Limit: EB 50-40 MPH; WB 50-40 MPH

      Speed Limit through switch to #2 Track: 25 MPH

  To the east there is single track mainline with occasional sidings all the way to Indio, at MP 609.7.  Westbound, the double-track mainline continues all the way to West Colton, about 25 miles.  The name "Apex" refers to the fact that this is more or less the top of Beaumont Hill, although the actual summit appears to be about 0.5 miles west.

  The Espee Timetable indicates that Apex is at MP563.2; the actual switchpoints are at 563.3.

  The north side access road is passable to the east and west.

 

563.5 Potrero Creek Culvert

  Potrero Creek heads on the plain north of Beaumont and makes its way south through the western end of North Mountain, the low ridge visible immediately south.  The creek passes through picturesquely-named Massacre Canyon, finally connecting to the San Jacinto River just northwest of Gilman Hot Springs, about 6 miles south.

  Note that the bridge abutments are built of old railroad boxcar doors.  Use what's available...  The north side of the tracks remains passable while the south side ends with a precipitous fall.

 

 

563.9 Leave County Lands: Enter Beaumont city limits (again!) (RIV151E6)

 

564.0 2570' AMSL; -0.8% EB

 

564.1 Highland Springs Underpass

      Block Signals: EB 5642 - WB 5641

      Leave Beaumont: Enter Banning city limits

  Before September 1989, this was just a nice, simple country grade crossing with a little two-lane road.  But then they built the housing development and shopping center on the south side of the track.  So the underpass was completed in the summer of 1990.  The north path along the right-of-way remains passable all the way to Sunset Avenue.

 

564.3 Dragging Equipment / Hot Box DETECTOR (RIV151F6)

  Right along in here is the actual dividing point between drainage that is destined for the Pacific Ocean and the drainage that will meet its fate in the Salton Sink.

 

565.0 West Switch PERSHING Siding (RIV151F6)

      EB/WB Absolute Signals

      Siding Length 6498'

      2530' AMSL; -0.7% EB

  A low, tan municipal water tank is just south and to the west; the south path along the right-of-way ends in a deep gulley.  The north side path passes across the gulley floor.

 

565.3 Signpost WB 50-40 MPH (main track) (RIV152A6)

      Signpost WB 25 MPH (siding)

 

565.4 Smith Creek Culvert

  Smith Creek has etched a deep gulley which the railroad crosses by means of a high fill.  The north trackside road is passable by 2WD but right in the bottom of the wash itself there is a patch of soft, moist gravel with which to contend.  (Generally, the gravel hasn't been too much of a problem in the past few times that I've driven across).

  Smith Creek drains the west end of the Banning Bench, a shelf-like ledge just north of Banning, and is also the westernmost named creek in the Pass to flow east into the Salton Sink.

 

565.5 PERSHING Station

      Deep Gulley with Culvert

 

566.0 2495' AMSL; -1.3% EB

 

566.3 Sunset Avenue Grade Crossing (RIV152B6)

  The north path along the right-of-way remains passable all the way to 22nd Street.  In Summer 1989 an active road-widening project was underway with the grade crossing included.

 

566.5 East Switch PERSHING Siding (RIV152C6)

      EB/WB Absolute Signals

 

566.8 22nd Street Grade Crossing

  To the east there is access along both the north and south side of the rails all the way to San Gorgonio Avenue.

 

567.0 Montgomery Creek Culvert (RIV152D6)

      2425' AMSL; -1.6% EB

  Montgomery Creek, another drainage from the Banning Bench, flows south and east to join with the San Gorgonio River.

 

567.6 West Switch BANNING Siding (RIV152E6)

      EB/WB Absolute Signals

      Siding Length 6202'

 

567.8 8th Street (State Route 243) Underpass

  SR 243 leads south up into the San Jacinto Mountains to Idyllwild, a mere 26 miles south, heart of the San Jacintos and an alpine interlude at just over a mile above sea level.

  The access road along the north side of the tracks also passes over on the railroad bridge, so that maintenance crews don't need to exit from the right-of-way to move along the rails.

 

568.0 2340' AMSL; -1.5% EB

 

568.2 BANNING Station

  Banning Station, back in the distant past, stretched from here to about MP568.5.  It was located along the north side of the tracks and fronted on Bryant Avenue.

 

568.3 San Gorgonio Avenue Grade Crossing (RIV152F6)

  For a spectacular view of the whole San Gorgonio Pass, travel south on San Gorgonio Avenue and climb up the scarp of the San Jacinto Mountains directly south.  In just a few miles you'll have a bird's eye view of Banning.  Bring a telephoto lens and telescope and watch trains.

 

568.8 Hargrave Street Grade Crossing

  A good dirt path leading east is available along the north side of the tracks; John Street provides access along the south side of the tracks.

 

568.9 East Switch BANNING Siding (RIV153A6)

      EB/WB Absolute Signals

 

569.0 2250' AMSL; -1.7% EB

 

569.3 Entrance to Banning Airport

  Banning Airport is along south side of tracks here; John Street turns into Kelso Street at the jog and continues just shy of due east along the northern perimeter of the airport.

 

569.4 A Couple of Nasty Gullies (RIV153B6)

  There is a couple of nasty but passable little gullies along the path on the north side of the tracks.  There are also many cobbles and larger rocks.  Drive with caution.

 

569.6 Begin Paved Road

  This road is the half-buried remains of the eastern extension of Ramsey Street in Banning and is the old US Route 60 that predates the Interstate; now the north (westbound) lanes of the old road serve as sub-foundation for I10.

 

570.0 Dragging Equipment DETECTOR (RIV153C6)

      Block Signals: EB 5700 - WB 5701

      2160' AMSL; -1.7% EB

  In October 1989 the normally female voice of this talking detector slowed down to about half-speed, sounding more like someone on Quaaludes.

 

570.6 Path Narrows for Next 0.2 Miles

      Truck Scales on Interstate 10

 

571.0 210' Wood Bridge over the San Gorgonio River (RIV153D6)

      2070' AMSL; -1.8% EB

  The railroad passes over the San Gorgonio River wash; the river is usually dry on the surface except after a summer thunderstorm or when there is spring runoff.  The San Gorgonio River is formed by the drainage off the south faces of Little San Gorgonio Mountain and Galena Peak (9330'), flowing down through massive and impressive Banning Canyon about 5 miles northwest.

  Mount San Gorgonio, the highest peak in Southern California at 11,503', is due north.  It is the top of the long gray ridge in the background, above and behind the nearer Little San Gorgonio Ridge.  In fact, the whole gray San Gorgonio mountain ridge is also known as "Old Grayback", or as "that big ol' mountain over there".

 

571.1 West Switch CABAZON Siding

      EB/WB Absolute Signals

      Siding Length 16217'

      Speed Limit through switch to siding: 20 MPH

  The rails pass over a smaller wash.  Fields Avenue is the nearby offramp from the Interstate.

  East to about MP579.4 access to the tracks is available along the paved path of old Route 60.  The path will narrow to single lane width but then at MP572.6 will widen to a full four lanes.

  According to the topographic map, this siding used to be called Owl; however, the name "Cabazon" shows up on maps as old as 1884.

 

571.3 Fields Road Offramp from I10 (RIV153E6)

      Leave Banning: Enter County Lands

  Fields Road provides both eastbound and westbound access to this section of the right-of-way from Interstate 10.  There are several whoops along the road here.  Drive carefully.

 

571.5 Old OWL Station

  Owl, a siding approximately 5900' long, appears on old timetables and maps.  Owl has been absorbed as the west end of Cabazon siding.

 

572.0 1975' AMSL; -1.9% EB


572.3 Path Narrows (RIV173F1)

  Exercise caution when driving along this single-lane section of the old highway.  Bicycles, pedestrians and very occasional auto traffic may be found here.  The eastbound I10 offramp for Apache Trail covers all but this narrow remainder of the old highway.

 

572.6 Apache Trail Grade Crossing

      Block Signals: EB 5726P - WB 5725

  Eastward signal 5726, sporting a "P" plate, also indicates the status of the barricade detector at MP574.3.

  Access to the tracks continues along the old highway along the north side; Main Street is the name of the four-lane paved road here though Cabazon.

 

573.0 1875' AMSL; -1.7% EB

 

573.7 Site of Old Water Tank (RIV174A1)

  The tank along the north side of the siding was used back in the "old" days before diesels came along. Twelve massive concrete feet are all that remain, across from 50044 Main Street.

 

574.0 Broadway Grade Crossing (RIV174B2)

      West-facing 6345 Spur

      East-facing 6340 Spur

      Community of Cabazon

      1785' AMSL; -1.6% EB

  Spur 6345 comes off the main, south track, crosses Broadway and ends about two hundred yards east.  Spur 6340 is located along the north siding track, just west of the grade crossing and continuing west for a hundred yards or so.

 

574.1 CABAZON Station

  There is a section shanty south of the 6345 spur.  According to a 1954 timetable, Cabazon had a north siding 122 carlengths (approximately 6200') long and a 125-car (6300') south siding.

 

574.2 Railroad Avenue / Main Street Intersection

      Site of Old Water Tank

      Big Lizards

  The Cabazon Offramp from both eastbound and westbound Interstate 10 provides access to Main Street. North of the freeway are the big lizards: a fierce, omnivorous Tyrannosaurus Rex (or is it a Allosaurus?) and a lumbering, docile, herbivorous Brontosaurus which, by the way, has a little museum and gift store in its stomach (It's amazing what these dinosaurs will eat).  It's a good thing that these critters are extinct; think of the havoc they'd wreak on ten thousand tons of a westbound drag.

  Immediately south of the Main Street overpass, Railroad Street joins up and provides access east along the tracks.

  Notice the twelve concrete footings of yet another long-gone water tank along the north side of the tracks west of the intersection.

 

574.3 West Switch MONS Siding (RIV174C1)

      East Switch CABAZON Siding

      EB/WB Absolute Signals (WB Signals Carry "P" Plate)

      Barricade DETECTOR

      Mons Siding Length 17155'

  Mons Siding is the longest unbroken siding in the Yuma Sub.  Over three miles long between switchpoints, it helps to clear up congestion on the east side of the Beaumont Hill.

  This particular junction of these two sidings is called a "Lap Siding".  Since the two sidings overlap one another without joining, the sidings can be set up to hold a train that is much longer than the length of either Cabazon or Mons and still provide room for a passing train to get by.  More likely, though, the lap junction allows run-by meets for opposing traffic without incurring tremendous slowdowns.  All told, between the lap sidings here and the total length of the Mons/Fingal Sidings to the east, this provides nearly eight miles of "double" track in case of a really slow meet.

  Check out the long, single-railed wooden fence that runs for about 120' along the north side of the railroad right-of-way, immediately across from the freeway offramp.  That's a BARRICADE DETECTOR. If some out-of-control vehicle (a tractor and semi-trailer, I suspect) comes flying off the freeway with burned-out brakes, the vehicle might hit the barricade fence on its way to fouling the railroad tracks.  A single heavy wire is supported by the fence and acts as a long pull-chain for a switch at the east end of the fence.  The theory is that a truck will hit the fence, rip the wire out of the fence as the truck goes through, and the wire will tug on a switch that also controls the indications on the eastbound 5276P signal and the westward absolute signals right here.

  However, given the angle of the offramp, I think that there's a good possibility that the vehicle would miss the fence completely, passing just to the east and fouling the mainline without setting off the barricade detector.  You wait and see... (NOTE: as of October 1989, the detector had served its purpose; the east end, right at the control box, was creamed.)

 

574.6 Signpost EB 45-40 MPH

 

575.0 1700' AMSL; -1.7% EB

 

576.0 1615' AMSL; -1.9% EB

 

576.2 MONS Station (RIV174F1)

  According to that 1954 timetable, the old Mons siding could contain 116 cars.

 

576.5 MONS Crossovers

      East Switch MONS Siding

      West Switch FINGAL Siding

      EB/WB Absolute Signal Towers

      Colorado River Aqueduct Crossing

      Fingal Siding Length 11373'

  The Mons Crossovers serve as the ends of the individual Mons and Fingal sidings, each quite long by their own right.  However, through this crossover, the south siding track can be made more than five miles in length, allowing in-motion opposing and same-direction train meets to occur.

  Just west of the west end of the Mons Crossovers, the railroad passes over the Colorado River Aqueduct, built by the Southern California Metropolitan Water District (MWD) to bring Colorado River water from the Colorado River through the headgates at Parker Dam, about 160 miles east, to Los Angeles.  The aqueduct passes under the tracks from the northeast and heads about southwest, tunneling under the San Jacinto Mountains.

 

576.6 Signpost WB 50 MPH

      Speed Limit: EB 45-40 MPH; WB 50 MPH

 

577.0 1515' AMSL; -1.7% EB

 

577.9 Old Propeller Farm South of Tracks (RIV175C1)

  South of the tracks about a half-mile is an abandoned wind energy conversion farm, one of the dozen or so farms in the eastern San Gorgonio Pass.

 

578.0 1425' AMSL; -1.5% EB

 

578.6 FINGAL Station

      West-facing 6369 Spur

  The 150 yard-long spur is off the south side of the siding track.  Fingal used to be a mere siding of 5800' length.  Now it has been lengthened and absorbed into what is now a near-double track railroad all the way from MP571.1 to MP578.7, a total of 7.6 miles.

 

578.7 East Switch FINGAL Siding (RIV175D1)

      EB/WB Absolute Signals (EB Signals Carry "P" Plate)

  The eastbound signals carry the "P" plate, indicating that the signal will also display an indication due to the state of the high-water detector in the bridge at MP579.2.

 

579.0 1350' AMSL; -1.7% EB

 

 

579.2 Two Bridges over Stubbe Wash

  Stubbe Wash carries the outflow from Stubbe Canyon which heads on the southeast side of Kitching Peak, the lone alpine peak in the foreground just a bit west of due north.

  The Pacific Crest Trail, the hiking path that leads from the Mexican border to Canada, passes under the 100' concrete bridge carrying the railroad tracks over the east wash.  The path heads north up Whitewater Canyon to Big Bear Lake; the south route goes right up the side of the escarpment of the San Jacintos, immediately to the south. An access road, generally passable by 2WD, leads down into the east wash from Railroad Avenue; there is sufficient clearance under the freeway bridge to drive up to Tamarack Avenue, just north of the freeway.  The south path leads under the railroad bridge allowing access to the lands south of the tracks.

  The high water detector located under the west bridge, a 50' wood structure, also controls the indication at signal WB5801P and the eastward absolute signals at MP578.7. The paved road and the tracks begin to curve to the south.

 

579.4 Tracks separate from Railroad Avenue (RIV175E1)

  Ahead the paved road ends at the Verbenia Avenue Ramp on Interstate 10.  To continue along the right-of-way, there is a dirt road that separates to the right off the paved road and eases down to the tracks.

  The little unincorporated community of West Palm Springs Village lies just north of the interstate.

 

579.5 Rail Greaser

  Yes, another messy, sticky, gooey rail greaser.  Don't touch the rails anywhere around here for the fear of becoming mired in the glop.  Don't even walk in the stuff; you'll track it into your car and ruin the carpet or the floormats.

 

579.6 Dragging Equipment DETECTOR

  As measured by walking along the tracks, counting poles or looking at the odometer, this detector is really at MP579.8; that's false advertising for you.

 

580.0 1259' AMSL; -1.9% EB

 

580.2 Block Signals: EB 5802 - WB 5801P (RIV175F1)

  The westbound signal 5801 carries the "P" plate.  This signal, in addition to traffic duty, indicates the status of the high-water detector on the bridge at MP579.2.

 

580.6 State Highway 111 Overpass

  The junction of SR111 and I10 lies about 0.3 miles north; SR111 continues east and the city of Palm Springs is about 12 miles distant.

  Mount San Jacinto is the massive peak immediately south, at the top of that sheer, gray granite scarp; its elevation is 10,804', making it the highest summit in the San Jacinto Mountains and the highest peak in the Peninsular Ranges of California.

 

580.9 Track Access from Wendy Drive (RIV176A1)

  The dirt road along the north side of the right of way joins with Wendy Drive, a paved road that serves a small ranch next to the Roadside Rest Facility on Interstate 10.

  The old Whitewater Adobe lies inside a compound just north; this may be the location of the old Whitewater Station, shown on maps as old as 1891.

 

581.0 1160' AMSL; -0.3% EB

 

581.2 High-Tension Power Lines

  Note the Strange Contraption in the fenced compound along the north side of the tracks.

 

581.5 Junction of Wendy Road and Tipton Road (RIV176B2)

  A left turn here (north) onto Tipton Road leads to Whitewater, about 1 mile distant.  There is an offramp from I10 that provides access to this point.  Continue east on Tipton Road.

 

581.6 West Switch WEST PALM SPRINGS Siding

      EB/WB Absolute Signals

      Siding Length 6460'

 

581.8 Water Tank Foundations

  Concrete foundations along south side of tracks mark the location of a water tank used for steam engine watering.  Reportedly, the tank was installed in the Thirties and removed in the Fifties and put into service up in the Sierras.

  The south side of the track is now lined with a verdant, dense stand of athel tamarisk, a shrub/tree imported from Africa specifically to grow as a windbreak in this desert land.  This grove of tamarisks continues east for the next 0.7 miles.  At intervals all the way to Yuma there will be stands of this shrub/tree to protect the right-of-way from blowing and drifting sand.

 

582.0 1140' AMSL; -0.4% EB

 

582.4 Black Water Tank

  The black water tank along the south side of the rails is allegedly as much as 100 years old, augmented long ago by the now-removed water tank 0.8 miles west.

 

582.6 WEST PALM SPRINGS Station (RIV176C3)

      Tipton Road Grade Crossing

      East-facing 6445 Spur

  Helper sets will sometimes use the spur 6445 along the south side of the siding track but not very often.  Once, in April 1989, the last of the unmodified GP20s, 4060, was set out on this spur as bad-order.

  Tipton Road bends ninety degrees right and crosses the mainline, intersecting with SR111 about 0.2 miles south.  Interstate 10 is about 3 miles west on SR111 while Palm Springs and its wonders are 10 miles east, around on the leeward side of the San Jacintos.

  The 1954 timetable identifies this as "Palm Springs" station with a length of approximately 6500'.  Not much has changed since then but the addition of the word "West".

 

  East from here there are various paths across the upcoming Whitewater River; most of them are difficult and some are plain impossible for either 2WD or 4WD vehicles.  The best bet is along the south side of the tracks.  Note the "No Trespassing" signs.

  The Whitewater River at this point is a river only once in a couple dozen years; most of the time, there is little surface water this far out from the mountains to the north.  The river is fed from the precipitation in the form of rain, sleet and snow that falls on the southeast face of San Gorgonio Mountain about 14 miles northwest at 11,503 feet.  This water collects in the North, South, East and Middle Fork of the Whitewater River, roars briefly down the very upper reaches of Whitewater Canyon, begins to vanish as it passes the Whitewater Trout Farm, then pretty much sinks below the desert sands by the time it sees Interstate 10.  It varies seasonally, but chances are good there will always be little ground water at this point.

  Over the eons of regional uplift caused by movement along the San Andreas Fault, the great mountains of San Jacinto and San Gorgonio rose out of the landscape and both grew to heights over ten thousand feet.  These mountains catch the water that erodes the granite rock and carries the debris downhill toward the ocean or the Salton Sink.  The debris carried by countless years of flood flow have built the great alluvial fan upon which the railroad tracks cross.  The structure constructed by water-borne debris from Whitewater Canyon forms a semicircular apron beginning at the mouth of the canyon and sloping away from east through south to west.  The current seasonal stream that emanates from the Canyon now meanders down the face of this apron, picking one path for a time, then another. 

  The stream paths, seen from the air, appear braided, twisting and twining around each other as the courses change radically from year to year.  Because of this, the railroad, the Department of Transportation (Caltrans), the Wind Farm operators and the municipalities along the path of the Whitewater have erected dikes and other barriers and channels to attempt to keep the river pointed along a known path.  There are several bridges along the tracks for the next mile or two, each reflecting one of the many possible courses that runoff water might take on its gravity-induced fall.

 

582.8 East Switch WEST PALM SPRINGS Siding

      EB/WB Absolute Signals (EB Signals display "P" Plate)

      Leave County Lands: Enter Palm Springs city limits

The eastbound signals also indicate the status of the high-water detectors of three upcoming bridges at MP582.9, MP583.2 and MP583.3.

 

582.9 Steel Bridge over main stream of the Whitewater River

  Passage is possible with care and skill over sandy path about 100 yards south of the trestle.  Take care to avoid the myriads of two, three and four-wheel racers that frequent these parts.  One alternate route is the path along at right-of-way of the natural gas pipeline, about 0.3 miles north from here.  Go back to Tipton Rd. at MP582.6, and head north on the dirt track that leads north away from the ninety-degree bend in Tipton Road.  Follow this path to the wide, cleared pipeline route and turn east.  This route will come alongside the north flank of the railroad tracks at about MP584.7.

  This trestle bridge incorporates a high-water detector (north side, east end), the condition of which is displayed at signal WB5839P and at the eastbound absolute signals at the east switch of West Palm Springs.  The bridge has "P" plates at both ends: the plate at the west end of the span has faded out, however.

  The south right-of-way path is very rocky and slow along here.  There is no good path through here, only ones less bad.  Experiment.

 

583.0 1120' AMSL; -1.4% EB

 

583.1 Concrete Bridge over branch of the Whitewater River

  A 100-foot-long, concrete bridge carries the rails over this channel with enough clearance for vehicular passage underneath.

 

583.2 Bridges over branches of the Whitewater River (RIV176D3)

      Leave Palm Springs: Enter County Lands

  The tracks first cross a river branch with a 60' long, wooden trestle bridge.  There is only a few feet of clearance under this bridge, not enough for much more than a go-kart.

  The second bridge, a few hundred feet east, is a 180'-long, concrete trestle which includes a high-water detector that also controls the WB5839P block signal and the absolute signals at the east end of West Palm Springs; if the detector trips, the signals will display a Stop indication.  "P" plates are intact on the stanchions at both ends of this bridge.  There's only one problem with the placement of the detector: it's at the northwest corner of the bridge, shielded from storm flow by debris deposits and on the inside of the curve in the wash.  Any storm water running down the wash will erode the east end of the bridge abutments long before water gets over to the detector.

  By the way, even if there is water in the creek bed, don't try to go for a swim; note the posted sign:

 

 

  At the time of this writing there was nearly 5 gallons of water per second flowing in this channel.  I suspect the sign warns one of the head injury that they ll get from a swan dive. The south right-of-way has a straightforward ford of the stream about 75 yards south of the tracks.

  For the next 0.2 miles the trail becomes very cluttered with cobbles, stones and just plain boulders.  Pass with caution and care.

 

583.3 Bridge over branch of the Whitewater River

  This 50-foot steel and concrete bridge, like the bridges at MP583.2 and 582.9, incorporates a high-water detector that again controls the WB5839P and the eastbound absolutes at MP582.8.  Again, "P" plates are used at each end of this structure to indicate its protected status.

 

583.4 Bridge over branch of the Whitewater River

  The gulley is spanned with a 50'-long, wooden trestle bridge with insufficient clearance underneath for vehicle passage.

 

583.5 Bridge over branch of the Whitewater River

  This gulley is spanned with another 50-foot-long, wooden trestle bridge with insufficient clearance underneath for vehicle passage.

  The southside access road passes through firm sand in the bottom of the wash; don't dawdle here, otherwise a two-wheel-drive vehicle might get stuck.

 

583.6 Block Signals: EB 5838 - WB 5839P

      Bridge over branch of the Whitewater River

  A 50'-long, wooden trestle bridge with insufficient clearance underneath for vehicle passage is about 300 feet west of the signal masts.

  Signal WB5839P provides an absolute indication for the high-water detectors on the trestles at MP582.9, MP583.2 and MP583.3.

 

583.7 Bridge over dry wash (RIV176E3)

  This time there is a fine 60-foot-long specimen made of wood and with no clear access underneath.

 

584.0 Southern Pacific WHITEWATER Hill Communications Facility

      1045' AMSL; -1.8% EB

  Due north of the tracks approximately one and a half miles lies Whitewater Hill, 1734 feet high, with a Southern Pacific radio facility atop.  Coverage of the Whitewater site extends from Beaumont/Banning to the west and well beyond Thermal to the east.  The radio PBX (mobile telephone) at this site is on channel 3 (160.950MHz); the mechanical lady ends all radio transmissions with the identification, "SP Whitewater, KDB647, out."  The site also supports the trunked microwave communications going from Beaumont to Indio.

 

584.1 Bridge over Wash

  This is the very last bridge, culvert or otherwise for the next four miles or so, until the bridge over Garnet Wash.

 

584.2 Private Grade Crossing

  This grade crossing is accessible from SR111, half a mile south, through a long path right down the middle of the sandy bottom of the Whitewater River channel, beginning where it flows south of SR111.  The river bottom is not fit for 2WD unless it is a dune buggy or other light, wide-tired vehicle.

  The south right-of-way becomes quite difficult to impossible east of this point.  The north side of the tracks is quite passable to the east, much less so to the west.

 

584.5 Dragging Equipment / Hot Box DETECTOR (RIV176F3)

 

584.7 Wind Farm along South Side

  The south right-of-way remains passable by two-wheel-drive from this point east to Indian Avenue.  It will follow closely the north side of the perimeter fence for the propeller farm to the south.  Note the signs on the fence warning that there is "No Swimming"; No Kidding.

  The north right of way becomes better established and will continue to be wide and passable all the way to Indian Avenue.

  And no, the wind farms don't create the strong winds that plague this pass; the winds came first and will be here long after all the propellers have blown away.

 

584.8  Diversion Dikes

  Along the south side there are diversion dikes built up to capture the rare but often fierce runoff when summer thunderstorms strike, protecting the propeller farm and the railroad.

 

585.0 West Switch North GARNET Siding (RIV177A3)

      EB/WB Absolute Signals

      Signpost EB 55-40 MPH

      Siding Length 17121'

      Speed Limit: EB 55-40 MPH; WB 45 MPH

      950' AMSL; -1.9% EB

 

585.4 Old HUGO Station

  Gone but not forgotten, at least in the hearts of railfans across the land, is Hugo siding.  Fifty-eight hundred feet long, it is now part of the North Garnet siding.

 

586.0 845' AMSL; -1.7% EB

 

586.4 Signal Bridge: EB 5864 - WB 5865 (RIV177C3)

Along the north side of the tracks for the next half-mile or so are automobile junkyards, with bits and pieces of just about every kind of automobile imaginable.  A lot, I suspect, are the remains of the autos of careless railfans who didn't belong out in the desert.  Take care.

 

  The wide cleared swath between the junk yards and the tracks is a natural gas pipeline right-of-way.

 

 

587.0 Signpost WB 45 MPH (RIV177D3)

      755' AMSL; -1.3% EB

 

587.9 West Switch South GARNET Siding (RIV177E3)

      EB Signals

      WB Signal Bridge

      Site of Old Water Tank

      Siding Length 5268'

  The "A" plate attached to the north leg of the westbound signal bridge reiterates the fact that these signals are absolute. 

  The little wash here just west of the siding switch is Garnet Creek; it channels the little runoff from the Devil's Garden, high in the hills to the northwest where all the windmills are.

  About 100' north of the tracks there are the footings of an old water tank that was used long ago to water up the steamers headed up the hill.

  There are also the remains of a watering pond or wading pool or something similar located just north of the tracks.

 

588.0 685' AMSL; -1.4% EB

 

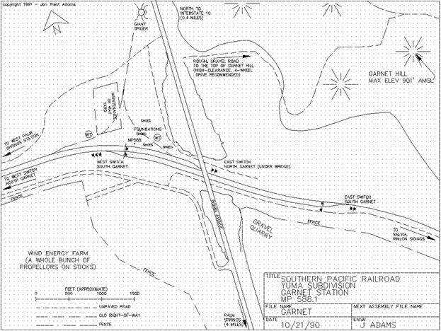
588.1 GARNET Station (RIV177F4)

      Community of Garnet

  The once-paved, now buried under the sands of time, road that fronts the south side of the tracks here is Garnet Station Road.  It joins to Indian Avenue at the south foot of the overpass. A dirt (sand) road continues west all the way to the west end of Garnet, following the perimeter fence of the wind energy farm.

  A 1891 map shows a branch line that left the mainline (actually, then at a station named "Seven Palms") and headed directly to Palm Springs, about seven miles south.  It appears that there is no evidence of that now but it might be that "Seven Palms" was a bit west of Garnet proper.

  A curious fact: littered all around the area are hundreds, perhaps thousands of pairs of shoes.  Ladies shoes, roller skates, ice skates, tennis shoes, childrens' shoes, you name it.  Don't bother to go by, hoping to pick up a bargain for the wife; the shoes are a bit weather-worn now.  It seems as if the whole site was a dump for a shoe manufacturer.  Or perhaps it was a railroad derailment.

 

588.2 East Switch North GARNET Siding

      EB Absolute Signals

      Indian Avenue Overpass

      WB Absolute Signals

  The path along the north side of the right of way ends at the overpass. East from here the access is along the south side of the tracks along the trail passing under the Indian Avenue Overpass along the south side of the south siding.  Note that there is a gate here.  Access east along the north side can be had by turning east off Indian Avenue onto the trail that leads south along the road back to the tracks.

  Along the south side of the right-of-way, just east of the Indian Avenue overpass, is a gravel quarry.

  A tamarisk grove begins along the south side of the access road.

 

588.9 East Switch South GARNET Siding

      EB/WB Absolute Signals

  For the last 0.8 miles the north side of the mainline has been bordered by Garnet Hill, a lump of gravel and rock 901 feet high.  The view from the top of Garnet Hill is impressive for a low hill, and there is one point on the southwest end of the hill that not only sees directly down the SP tracks to the east-southeast but provides an excellent vantage point to watch trains climb up and down San Gorgonio Pass.

  Access to the top of Garnet Hill is available via an east turnoff about 200 yards north of the Indian Avenue Overpass on Indian Avenue.  This graded, maintained trail follows the gas pipeline that was built over this hill rather than around it; the road follows the east-west spine of the ridge and drops down the east side of the hill.

 

 

589.0 610' AMSL; -0.4% EB

  

589.9 Dragging Equipment DETECTOR (RIV178B5)

      Block Signals: EB 5898 - WB 5899

     20' Wooden Bridge over Mission Creek Wash

  Just to the east the railroad passes over a small wash on a concrete and wood bridge; the wash is Mission Creek.  Mission Creek drains a portion of the east and north slopes of San Gorgonio Mountain, at 11,503 feet, the highest mountain in Southern California.  The headwaters of this wash are thirty miles to the west-northwest, just north of the normally snowcapped peak of San Gorgonio.

  This is the last wash to cross the railroad for the next 19 miles.

  The lands just to the south of the right-of-way, beyond the trees, are under Bureau of Land Management protection and motorized travel into them is prohibited.  Note the sign at the gap in the trees, next to all the tire tracks of off-road vehicles.

  Lastly: the trail ahead for the next half-mile can get covered with quite a bit of sand, especially after a few nights of strong wind.  The Espee maintenance folks try to keep the road clear but occasionally the sand builds up faster than they can get rid of it.  If you're not sure of the road, get out and test it on foot.  It could save digging.

 

590.0 590' AMSL; -0.8% EB

 Somewhere around here was the old townsite of Pierce, as shown on a 1910 California State Mineral Deposits map.

 

590.5 West Switch SALVIA Siding (RIV178C6)

      EB/WB Absolute Signals

      Siding Length 7077'

  The word "salvia" means "sage" in Latin.  A learned fellow on the Espee Engineering staff must have come up with this name after seeing the wild sage in the region.

 

591.0 Gene Autry Trail Overpass (RIV181C1)

      550' AMSL; -0.7% EB

  This road was originally called Palm Drive.  This name still exists north from the Interstate, but south the road is called Gene Autry Trail.  Git along lit'l cowboy...  Both names are on the offramp signs on I10, approximately 0.4 miles north.

 

591.5 Signpost EB 79-60 MPH (RIV181D1)

      Speed Limit: EB 79-60 MPH; WB 55 MPH

 

591.6 SALVIA Station

 

591.8 Leave County Lands: Enter Cathedral City city limits

 

592.0 East Switch SALVIA Siding (RIV181E2)

      EB/WB Absolute Signals

      510' AMSL; -1.1% EB

 

593.0 450' AMSL; -1.0% EB

 

593.3 Block Signals: EB 5934 - WB 5933 (RIV181F3)

 

593.5 Signpost WB 55 MPH (RIV182A3)

  There is an Espee watering facility along the south side of the tracks.  Built out of old SP tank cars, it supplies water to the tamarisk groves along both the south and north side of the tracks.

 

594.0 400' AMSL; -0.9% EB

 

594.3 Date Palm Drive Overpass (RIV182B4)

  A gas station/mini-mart is located just southeast of the overpass.  A gated path leads out from the railroad right-of-way along the west side of the overpass to Vista Chino Drive; beware because the sand piles up very deep and even walking through it can be tough.

 

594.6 Track Access (RIV182B4)

  Access from the tracks is available from the south, heading west to Date Palm/Vista Chino Drives.

 

594.8 West Switch RIMLON Siding (RIV182B5)

      EB/WB Absolute Signals

      Siding Length 5979'

  Edom Hill is the predominant peak, covered with antennas, northeast of the railroad about two miles.

 

595.0 350' AMSL; -0.9% EB

 

595.1 RIMLON Station

 

595.5 Leave Cathedral City: Enter County Lands

 

596.0 East Switch RIMLON Siding (RIV182D6)

      EB/WB Absolute Signals

      305' AMSL; -0.7% EB

 

597.0 265' AMSL; -0.6% EB

 

597.3 Block Signals: EB 5974 - WB 5973 (RIV192F1)

 

598.0 Hotbox/Dragging Detector (RIV192F2)

       Ramon Drive Overpass

      235' AMSL; -0.5% EB

  Access to Interstate 10 is available at Ramon Road; there is also a plethora of fast-food facilities along the north side of the freeway at Ramon.

  Access the railroad tracks from Ramon by passing south over the tracks to the intersection of Ramon Road and Bob Hope Drive, directly at the south end of the overpass.  Turn right onto the barely paved road and veer right following the path to the tracks.  The south path along the right-of-way is a freeway westbound and is quite good eastbound, but deep with pea rock gravel.

  Immediately beyond the south tamarisk grove, just west of the overpass, is the Southern Pacific Pipe Lines Transoil Station.

 

598.5 West Switch THOUSAND PALMS Siding (RIV193A2)

      EB/WB Absolute Signals

      Siding Length 21029'

  This is one of the more important sidings in the Yuma Subdivision, based upon the amount of activity that the siding sees.  Long westbound trains will wait for helper units, eastbounds will sometimes switch out their helpers while everybody waits for a couple of east- or westbound hotshots to clear the Hill.

 

599.0 THOUSAND PALMS Station

      210' AMSL; -0.4% EB

 

599.2 East-facing 6554 Spur (RIV193B3)

  There is a utility spur off the north track; this may be the remains of the site of Edom, a watering hole for the railroad as shown on a 1958 topo map of the region.

  There have been tampers, spreaders and brushcutters stowed on this spur.  This section of the railroad always has some maintenance work in process due to the sand, tamarisks, sun and wind.

 

599.4 Monterey Drive Overpass

  The trackside access road that continues from here to the east looks to have been paved at one time, but little pavement remains now.  The tamarisk groves end just west of the overpass.

  Monterey Drive used to be called Kubic Road; I suppose that wasn't evocative enough for the land developers.

 

599.8 Track Access from Dinah Shore / Monterey Drive

  Access to the path along the south side of the rails is available here at the end of a paved, two-lane road that is the eastern extension of Dinah Shore Drive.  From the Monterey Drive offramp on Interstate 10, turn south and pass over the railroad tracks.  The intersection with Dinah Shore Drive is at the south end of the overpass; turn east and travel about 0.4 miles.  Follow the road as it turns due north to the dirt path along the south side of the tracks.

 

600.0 191' AMSL; -0.3% EB

 

600.5 THOUSAND PALMS Crossover (RIV193D4)

      EB/WB Absolute Signal Tower

  The THOUSAND PALMS Crossover rests about midway along the siding.  The crossover allows westbound traffic to move from the siding track to the mainline.  The crossover is used often to set up helpers into westbound trains, either as mid-train or as head-end lash-ups.

  This point marks the west switch, more or less, of a siding called "Dry Camp", shown on maps as old as 1891.  By the late 1950s, the siding had been increased in length to its present 21,000+'; the 1958 Thousand Palms USGS topographic map indicates the siding name as "Thousand Palms - Dry Camp".  However, the Espee Timetable currently refers to the whole siding only as "Thousand Palms".  But, I have heard train crews refer to the east end of the siding, that is, the portion between the east switch of the siding at MP602.6 and the crossover here as "the Dry Camp end", while the remainder of the siding west from the crossover is often called the "Thousand Palms end".  But certainly, many crews just refer to the segments as the "east" end and the "west" end.

  According to the Thomas Bros., the community of Dry Camp still exists north of the Interstate, east of Monterey Drive.  The residents, however, call it Thousand Palms.

  From MP600.4 to MP602.3 the tracks are bounded along the south side by the city of Palm Desert.

 

601.0 175' AMSL; -0.1% EB

 

601.5 Old DRY CAMP Station

  The 1954 timetable indicates this as the place; the siding used to be some 6000 feet long, but has long since been swallowed up into the current Thousand Palms siding.

 

602.0 170' AMSL; -0.1% EB

  The southside tamarisk grove begins again about 0.3 miles west.

 

602.6 East Switch THOUSAND PALMS Siding (RIV193F6)

      EB/WB Absolute Signals

 

603.0 Signpost EB 79-65 MPH (RIV204A1)

      Speed Limit: EB 79-65 MPH; WB 79-60 MPH

      165' AMSL; -0.5% EB

  The tamarisk grove along the north side of the tracks begins again and continues east.

 

603.8 Signpost WB "Report Smoking Units To Dispatcher" (RIV204B1)

 

603.9 Block Signals: EB 6038 - WB 6039

 

604.0 140' AMSL; -0.4% EB

 

604.3 Signpost WB "Check Units For Smoking Conditions" (RIV204C2)

 

604.4 Dragging Equipment DETECTOR (RIV204C2)

  

 

605.0 Signpost WB 79-60 MPH

      115' AMSL; -0.5% EB

 

605.1 Block Signals: EB 6052 - WB 6053

 

605.3 Washington Street Overpass (RIV204D2)

  There is gated access to the south path along the right-of-way here from the south and west side of the Washington Avenue Overpass.  The south path along the right-of-way remains open all the way east to Indio Blvd. and west to Monterey Road.

 

606.0 90' AMSL; -0.6% EB

 

606.3 West Switch MYOMA Siding (RIV204E3)

      EB/WB Absolute Signals

      Siding Length 6361'

 

606.5 MYOMA Station

 

607.0 60' AMSL; -0.6% EB

 

607.5 EB Absolute Signals

      Signpost EB 30 MPH

 

607.6 East Switch MYOMA Siding (RIV205A4)

      Indio Boulevard (Interstate 10 Business) Overpasses

      WB Absolute Signals

  The signals at MP607.5 control eastward traffic at the east switch of Myoma; the switch and the westbound signals themselves are just east of the twin overpass bridges.

  There is gated access here out to Country Club Drive from the west side of the Indio Blvd. overpass.  The gate is usually open.  The south path ends at the overpass.  To the east, access to the railroad tracks is available along the north side of Indio Blvd.

  From the east side of the Indio Boulevard overpasses, the southside path begins again and closely follows the tracks all the way to at least MP608.9.

 

608.0 35' AMSL; -0.4% EB

 

608.3 Coachella Canal Siphon under Railroad

  The Coachella Canal originates at the All-American Canal at the Mexican border east of Calexico, about 100 miles south, flows north and crosses under the tracks first at MP676.1, then skirts along the eastern boundary of the Imperial Valley up into the Coachella Valley.  The canal loops around the north side of Indio and passes underneath the railroad here in a siphon.

  The canal ends about seven miles south at Lake Cahuilla County Park, which is NOT particularly related to the Lake Cahuilla of prehistoric fame.

  The Thomas Bros. Riverside County mapbook calls the Coachella Canal a "Gravity Lateral of the All-American Canal".  In other words, the canal comes off the side of the All-American Canal and flows solely by gravity (that is, downhill all the way).

 

608.5 Dragging Equipment / Hot Box DETECTOR (RIV205C5)

  Access from Indio Boulevard to the south trackside path is available.  The path leads west to the east switch of Myoma and continues east to at least the bridge over the Coachella Storm Drain.

 

608.6 Block Signals: EB 6086P - WB 6085

  Signal EB6086P also indicates the status of the high water detector on the bridge over the Coachella Storm Drain (Whitewater River) at MP608.9.

 

608.8 Leave County Lands: Enter Indio city limits

 

608.9 400' Steel Bridge over the Coachella Storm Drain

  The Coachella Storm Drain is the Whitewater River in disguise.  The Whitewater, originally flowing from the San Bernardino Mountains at the northeast end of the San Gorgonio Pass, is fed by many seasonal, intermittent streams falling from the Santa Rosa and San Jacinto Ranges along the south of the Coachella Valley.  The river then makes a sharp bend along the foothills near La Quinta and travels northeast, generally following the perimeter of the city of Indio.

  Downstream (north of the tracks) the river loops around the north end of Indio, then heads south down the Coachella Valley to drain eventually into the Salton Sea.

  This five-span, steel through-plate girder bridge is wired with a high-water detector located at the west end on the south side; this detector also controls the signals EB6086P and the westbound absolutes at MP609.5.

  The southside access road provides a path to the bottom of the river; the soil is generally surprisingly firm and well-cemented, except of course on the day that you try railfanning in your new Italian sports car...  There is plenty of clearance under the bridge for most vehicular traffic.  And remember, don't blame me.

 

609.0 15' AMSL; -0.4% EB

 

609.6 West Switch INDIO (RIV205D6)

      EB Absolute Signal

      Speed Limit through switch to #2 Track: 30 MPH

 

609.7 End Single Track Centralized Traffic Control (CTC)

      Begin Double Track Automatic Block Signal (ABS)

      Monroe Street Overpass

      Signpost EB "END CTC"

      WB Absolute Signals with "P" Plates

      Signpost WB "BEGIN CTC"

      Speed Limit: EB 50 MPH; WB 50 MPH

      Speed Limit ACOT: EB 50-49 MPH; WB 30 MPH

      (ACOT: Against Current Of Traffic)

  Westbound the railroad runs under single-track CTC (Centralized Traffic Control) jurisdiction.  To the east, all the way to MP618.5, double-track ABS (Automatic Block Signal) controls track occupancy.

  The following 9 miles of double track are run with respect to the current of traffic: the North track provides westbound service while the South track sees eastbound traffic.  All of the signals controlling this double track are set up for operation in those directions.

  For instance, any time a westbound train is run on the South track, it is said to be "running against the current of traffic (ACOT)", and so is controlled by certain rules governing that service.  The speed limit while running in this mode is less.

  The triangular Protection (P) plates on the westbound signal staffs indicate that those signals also display the status of the high-water detector on the Coachella Storm Drain bridge at MP608.9.

  When this guide was begun, the Monroe Street Overpass was just a twinkle in the eyes of the City of Indio, Espee and the Special Grade Crossing Fund of the State of California.  By November 1989 the overpass was completed, greatly alleviating automobile traffic tieups at the Monroe and Indio intersection.

 

609.8 Signpost EB 50 MPH (RIV205E6)

      Sea Level!

  Welcome to the sub-sea-level (kinda like my grades...) route of the Southern Pacific Railroad.  Few railroads can lay claim to such a special route.  Fortunately for the Espee, the next 63 miles of the route, while below sea level, will probably not ever again be below water level.  At least not while the Espee is still in existence.

 

610.0 -6' AMSL; -0.4% EB

 

610.1 West-facing 6600 Spur

      Speed Limit ACOT: WB 40 MPH

  A switch off the north track services an industry spur along the north side of the track.  This is an especially important spur as it provides service to the local Coors Distributor.  The Coors distributor is on Market Street, just east of Monroe Street.  General access to the north side of the right-of-way is along dirt path leading south to tracks along east side of AAA Storage on Market. 

  Note: the soil immediately along the north side of tracks has the consistency of flour in many places.  It is thick and deep and without sufficient caution a vehicle can become a near-permanent part of the scenery.  This soil type exists in portions all along the tracks to at least Niland.  Some places it may be best to walk.

 

610.3 Abandoned 6615 Spur

  Until May 1989, there was a west-facing switch 6615 on the south main track for a spur serving the Dole Fruit and Nut facility across Indio Boulevard along Deglet Noor Avenue.  The tracks crossing Indio Blvd. remain as does the siding along Deglet Noor.

  By the way, "Deglet Noor" is a type of date, as in the fruit of a date palm.  There are many date shops through the Coachella and Imperial Valleys; some of the best offer free samples!  That way you can find out which kinds of dates you like best...

 

610.8 East-facing Spur (RIV215F1)

  The second-most important industry spur from the north track serves the Budweiser Distributor along the north side of the right-of-way.  The distributor is located on 45th Street, immediately west of Jackson Street.  Access to the north side of the right-of-way is via the dirt path along the west side of the beer distributor.

 

610.9 INDIO Station (RIV215F1)

      Signpost WB 79-70 MPH

      Jackson Avenue Overpass

      Block Signal: EB 6110

      Speed Limit: EB 50 MPH; WB 79-70 MPH

      Speed Limit ACOT: EB 50-49 MPH; WB 59-49 MPH

  This is the first Amtrak station since Ontario/Pomona, about 90 miles west.  Once on the property, however, there are no signs that indicate that Amtrak has anything to do with this place.  The only signs on the property describe the facility as the SP Depot and SP Police Station.

  Access to the SP Depot and the Amtrak Station is available via a narrow, paved frontage road along the west side of the north end of the Jackson Avenue Overpass.  The more conventional way is to follow the occasional "International-type" pictograph signs showing a diesel locomotive and a station platform.  These signs will lead the intrepid explorer east along Avenue 45 from Jackson for a block, then for a final right turn south on Pacific Avenue to the station.

  Since this is also the local SP Police Station, mind your Ps and Qs, whatever they are.

  A nice location to park and watch the activity is in the dirt lot just east of the overpass and the restaurant parking lot, immediately adjacent to the 6111 signal.

 

611.0 Indio Yard

  See the next section for details.